FP advierte: Inició la temporada ciclónica y el gobierno del PRM carece de un plan
SANTO DOMINGO.-A solo cinco días del inicio oficial de la temporada ciclónica 2025, el partido Fuerza del Pueblo (FP) advirtió ...
SANTO DOMINGO.-A solo cinco días del inicio oficial de la temporada ciclónica 2025, el partido Fuerza del Pueblo (FP) advirtió ...
SANTO DOMINGO.-Hoy, 1 de junio, inicia oficialmente la temporada ciclónica para la zona del Atlántico, la cual se extiende hasta ...
SANTO DOMINGO-. Las condiciones del tiempo seguirán sin cambios apreciables sobre la mayoría de las provincias, hoy domingo 01 de ...
SAN CRISTÓBAL.- En procura de garantizar la seguridad y el bienestar de los munícipes y los cientos de turistas que ...
SANTO DOMINGO .– Carolina Mejía activó y dejó en sesión permanente al Comité de Prevención, Mitigación y Respuesta ante Desastres ...
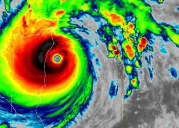
MIAMI.- El Atlántico tendrá este año una temporada de huracanes por encima del promedio, con la posibilidad de hasta 13 ...
SANTO DOMINGO.- En un esfuerzo por fortalecer la preparación y concientización ante situaciones de emergencia, La Iglesia de Jesucristo de ...
SANTO DOMINGO.- Durante la temporada ciclónica 2023 (que va desde el 1 de junio hasta el 30 de noviembre) se ...
MIAMI.- La temporada oficial de huracanes comienza este jueves en la cuenca atlántica con pronósticos que indican que el número ...
Santo Domingo.- La Oficina Nacional de Meteorología (ONAMET) anuncia el inicio de la temporada ciclónica 2023 en el Atlántico Norte ...
GRUPO TELEMICRO
Copyright © 2020 GRUPO TELEMICRO | Todos los derechos reservados.