domingo, mayo 10, 2026
No Result
View All Result
Noticentro
  • Nacionales
  • Internacionales
  • Espectáculos
  • Tecnología
  • Deportes
  • Economía
  • Salud
Noticentro
  • Nacionales
  • Internacionales
  • Espectáculos
  • Tecnología
  • Deportes
  • Economía
  • Salud
No Result
View All Result
Noticentro
No Result
View All Result
Home Internacionales

Melissa se aleja de Jamaica tras causar estragos y se dirige a Cuba con fuerza de categoría 4

by Carolina Ceballos
octubre 28, 2025
in Internacionales, Portada
0
Melissa se aleja de Jamaica tras causar estragos y se dirige a Cuba con fuerza de categoría 4
0
SHARES
6
VIEWS
Share on FacebookShare on Twitter

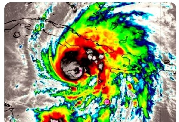
INTERNACIONAL.-El huracán Melissa disminuyó a categoría 4 y con vientos sostenidos de 233 km/h, ya se desplaza sobre el mar al norte de Jamaica.

Aunque el centro de la tormenta ha salido de la isla, la amenaza persiste: fuertes ráfagas, lluvias intensas e inundaciones continúan afectando a varias regiones jamaicanas.

Las autoridades advierten que los peligros ocasionados por el temporal, incluido el posible desbordamiento de ríos y marejadas, seguirán presentes en las próximas horas.

En su avance hacia el norte-noreste, Melissa pone ahora en alerta a Cuba, donde se prevé su llegada durante la noche, con la amenaza de impactos significativos en el oriente del país.

Carolina Ceballos

Carolina Ceballos

Next Post
El Senado aprobó a unanimidad en segunda lectura las modificaciones a la Ley Orgánica del Código Procesal Penal

El Senado aprobó a unanimidad en segunda lectura las modificaciones a la Ley Orgánica del Código Procesal Penal

Deja una respuesta Cancelar la respuesta

Tu dirección de correo electrónico no será publicada. Los campos obligatorios están marcados con *

Recommended

Salma Hayek fue de las primeras en tomar la Antorcha Olímpica para los Juegos de París 2024

Salma Hayek fue de las primeras en tomar la Antorcha Olímpica para los Juegos de París 2024

2 años ago
La Policía de Londres hizo estallar un paquete sospechoso cerca de la embajada de EEUU

La Policía de Londres hizo estallar un paquete sospechoso cerca de la embajada de EEUU

1 año ago

Popular News

  • Cierre de un camino en Don Juan afecta a decenas de campesinos 

    Cierre de un camino en Don Juan afecta a decenas de campesinos 

    0 shares
    Share 0 Tweet 0
  • Crece el respaldo comunitario a planta moderna de residuos sólidos en La Cuaba

    0 shares
    Share 0 Tweet 0
  • PN realiza operativos preventivos en distintos centros educativos de Baní

    0 shares
    Share 0 Tweet 0
  • La Universidad UTE realizo en su Trigésima Cuarta Graduación Ordinaria

    0 shares
    Share 0 Tweet 0
  • PN apresa en flagrante delito a “Masha” y otros dos jóvenes; ocupan dos armas de fuego y una jeepeta en Boca Chica

    0 shares
    Share 0 Tweet 0

Connect with us

Noticentro 13 ¡NOTICENTRO, periodismo auténtico al servicio de la información siempre!

GRUPO TELEMICRO

  • Grupo Telemicro
  • Telemicro 5
  • Viva
  • Emisoras Telemicro
  • Telemicro Internacional
  • Digital 15
  • Telecentro 13

MENU

  • NACIONALES
  • INTERNACIONALES
  • ESPECTÁCULOS
  • TECNOLOGÍA
  • ECONOMÍA
  • DEPORTES
  • SALUD

Suscríbete

¡Suscríbase a nuestra lista de correo para recibir actualizaciones diarias directamente en su bandeja de entrada!

Copyright © 2020 GRUPO TELEMICRO | Todos los derechos reservados.

No Result
View All Result
  • Contact
  • Home 2
  • Home 3
  • Inicio
  • Portada
  • Sample Page
  • video

© 2026 JNews - Premium WordPress news & magazine theme by Jegtheme.