domingo, mayo 24, 2026
No Result
View All Result
Noticentro
  • Nacionales
  • Internacionales
  • Espectáculos
  • Tecnología
  • Deportes
  • Economía
  • Salud
Noticentro
  • Nacionales
  • Internacionales
  • Espectáculos
  • Tecnología
  • Deportes
  • Economía
  • Salud
No Result
View All Result
Noticentro
No Result
View All Result
Home Portada

Huracán Beryl pone en alerta el Caribe, Centroamérica y México

by Deyanira Luciano
julio 2, 2024
in Portada, Tiempo
0
Huracán Beryl pone en alerta el Caribe, Centroamérica y México
0
SHARES
7
VIEWS
Share on FacebookShare on Twitter

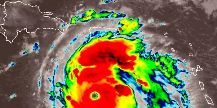
REDACCIÓN.- El huracán Beryl quien se fortaleció hasta alcanzar la categoría 5 en el Atlántico, la más temprana en el año de la que se tiene constancia, atraviesa el Caribe tras devastar las islas de Barlovento, donde dejó una persona si vida.

Beryl se está moviendo hacia el oeste-noroeste a cerca de 22 mph (35 km/h) y se pronostica que continuará moviéndose rápidamente hacia el oeste-noroeste durante los próximos dos días.

El centro de Beryl se moverá rápidamente a través del sureste y mar Caribe central este martes y se pronostica que pasará cerca de Jamaica el miércoles y las Islas Caimán el jueves.

El gobierno de la República Dominicana emitió alerta roja para las provincias de Barahona y Pedernales.

Beryl es el primer huracán de la temporada 2024 en el Atlántico, que va desde principios de junio hasta finales de noviembre. Se pronostica que Beryl seguirá siendo un huracán potente a medida que avance por el Caribe durante la semana.

Tags: Centroaméricahuracán BerylMéxico
Deyanira Luciano

Deyanira Luciano

Egresada de la carrera de licenciatura en Comunicación Social Mención Periodismo de la UASD, periodista de Despierta RD, editora internacional en Noticentro.

Next Post
Cae abatido “Doble A” supuestamente al enfrentar patrulla policial

Cae abatido “Doble A” supuestamente al enfrentar patrulla policial

Deja una respuesta Cancelar la respuesta

Tu dirección de correo electrónico no será publicada. Los campos obligatorios están marcados con *

Recommended

FEDA ampliará Programa Ovicaprino a todo el país, resalta impacto del plan

FEDA ampliará Programa Ovicaprino a todo el país, resalta impacto del plan

3 años ago
Desarrollan con éxito “Seminario para Cribado y enfoque Quirúrgico de Cáncer Colorrectal”

Desarrollan con éxito “Seminario para Cribado y enfoque Quirúrgico de Cáncer Colorrectal”

2 años ago

Popular News

  • Colegio Médico Dominicano reconoce a periodistas del sector salud en encuentro institucional junto a CIPESA

    Colegio Médico Dominicano reconoce a periodistas del sector salud en encuentro institucional junto a CIPESA

    0 shares
    Share 0 Tweet 0
  • Banreservas cierra feria inmobiliaria en Madrid con financiamientos por más de RD$3,798 millones

    0 shares
    Share 0 Tweet 0
  • Ministro Kelvin Cruz inicia reconstrucción del Centro Olímpico de La Vega con fondos recuperados de la corrupción

    0 shares
    Share 0 Tweet 0
  • Tras más de 40 años de espera, presidente Abinader y Wellington Arnaud inauguran acueducto múltiple San José de Ocoa-Sabana Larga que beneficiará a más de 56 mil habitantes

    0 shares
    Share 0 Tweet 0
  • ETED estructura nueva fase para viabilizar inversión privada en almacenamiento energético y fortalecer la resiliencia del SENI

    0 shares
    Share 0 Tweet 0

Connect with us

Noticentro 13 ¡NOTICENTRO, periodismo auténtico al servicio de la información siempre!

GRUPO TELEMICRO

  • Grupo Telemicro
  • Telemicro 5
  • Viva
  • Emisoras Telemicro
  • Telemicro Internacional
  • Digital 15
  • Telecentro 13

MENU

  • NACIONALES
  • INTERNACIONALES
  • ESPECTÁCULOS
  • TECNOLOGÍA
  • ECONOMÍA
  • DEPORTES
  • SALUD

Suscríbete

¡Suscríbase a nuestra lista de correo para recibir actualizaciones diarias directamente en su bandeja de entrada!

Copyright © 2020 GRUPO TELEMICRO | Todos los derechos reservados.

No Result
View All Result
  • Contact
  • Home 2
  • Home 3
  • Inicio
  • Portada
  • Sample Page
  • video

© 2026 JNews - Premium WordPress news & magazine theme by Jegtheme.