CIUDAD DE MÉXICO. – México descartó esta madrugada que Milton tocara tierra en las costas de la península de Yucatán, después de su desplazamiento hacia el este a 15 km/h, y rebajó a 4 la categoría del huracán en la escala Saffir-Simpson.
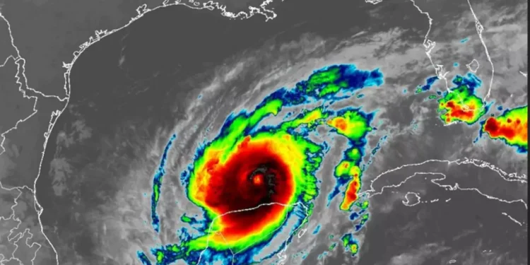
Según la nota de la Comisión Nacional del Agua (Conagua), el centro del huracán está localizado a 85 km al nor-noroeste de Dzilam, y a 118 km al oeste-noroeste de Río Lagartos, ambas localidades de Yucatán, con vientos máximos sostenidos de 250 km/h y rachas de 280 km/h.
La amplia circulación de Milton mantendrá lluvias puntuales torrenciales en Campeche y Yucatán, e intensas en Quintana Roo, Tabasco y Veracruz.
Desde hace días, las autoridades mexicanas han puesto en marcha medidas de alerta y prevención en distintas zonas del Caribe. Por ejemplo, ha evacuado la isla de Holbox, en el estado mexicano de Quintana Roo, o se ha implementado un esquema de ‘toque de queda’ (restricción de movilidad) y la ley seca (prohibida la venta de alcohol) en otras localidades.
En la localidad turística de Cancún se activaron refugios para los vecinos e incluso, centro de recogidas de mascotas en espacios seguros. De igual forma, la gobernadora de Quintana Roo, Mara Lezama, anunció que nueve hoteles en Cancún ofrecerán tarifas especiales a turistas que estén en tránsito por culpa del huracán Milton.
Pese a la rebaja de intensidad, el desarrollo del huracán sigue provocando alerta en todo el golfo de México. En el último parte del Centro Nacional de Huracanes (NHC, en inglés) de EE.UU., las autoridades advierten de que Milton es extremadamente poderoso, se encuentra al norte de la península de Yucatán, y representa una «amenaza extremadamente grave» para Florida, instando a sus residentes a seguir las órdenes de los funcionarios locales.
Se pronostica que el centro de Milton «se mueva cerca o justo al norte de la península de Yucatán esta noche y el martes», cruce el este del Golfo de México y «se acerque el miércoles a la costa oeste de la península de Florida», indicaron los meteorólogos.




